Terrain à bâtir à ORP-LE-GRAND (1350)

139.999 €

Général
Prix
:
139.999 €
Revenu cadastral
:
20 €
Adresse
:
1350 ORP-LE-GRAND
Superficie terrain
:
984 m²
Largeur façade
:
24 m
Largeur terrain
:
24 m
Description
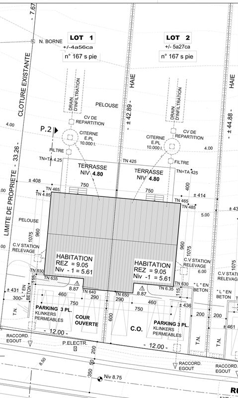
Magnifique terrain à bâtir d'une superficie de 9a84ca orienté Nord-Ouest arrière. Sa façade à rue de 24m permet d'y construire 2 maisons jumelées (un permis d'urbanisme a déjà été octroyé et est à votre disposition) ou une villa 4 façades en introduisant une nouvelle demande de permis d'urbanisme sous réserve d'acceptation de la commune. Sa situation dans une rue calme en bordure du Ravel ainsi que sa vue bucolique vous assurera quiétude et sérénité ! A saisir ! Appel d'offres à partir de 139.999 € sous réserve d'acceptation des vendeurs. Possibilité d'acheter 2 seconds lots (4 terrains en tout pouvant accueillir 4 maisons) en sus. Idéal pour promoteur. Renseignements et visites au 010 77 91 91 ou sur notre site www.immmobienetre.be. Si vous avez un bien à vendre ou à louer, appelez nous pour une estimation gratuite.
Confort/Equipements
Raccordement à l’eau
:
Oui